Puppy walks and the 3D's...
- Cheryl @ BrightPaws

- Aug 30, 2020
- 3 min read
Hey everyone!
I hope you’ve all had a good weekend with lots of dog filled fun! :)
This week’s blog is about puppy walks and using the 3D’s in dog training.
Puppy walks
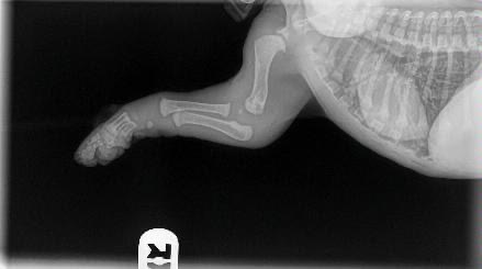
For those of you with young puppies, being aware of how much exercise they are getting per day is extremely important to protect their growing bodies. I know a lot of you will be desperate to take your pups nice long walks as we make the most of the end of summer but too much exercise can be very damaging to puppies’ joint and bone development. The photos below show how much growing still has to be done before a puppies bones are fully grown/formed and connected to the relevant muscles, tendons and ligaments.
It is because of this that we need to limit the exercise puppies do each day in order to ensure their bones and joints grow healthily and are not put under too much stress at a young age. Too much exercise whilst they are still growing could cause a lot of problems later in adulthood if we are not careful.
The rule of thumb is that you can walk your puppy for 5 minutes for every month old they are!
So for an 8 week old puppy that would be a 10 minute walk per day. Yes it doesn’t sound a lot at all and I know some people will say, ‘But 10 minutes doesn’t tire my puppy out enough’. Remember there are other ways you can mentally stimulate your puppy by playing games, providing some enrichment activities and practising some training exercises such as loose lead walking or recall in the garden for example.
Once your puppy is over a year old, their bones and joints will be well formed and at this point you can explore together on those longer adventures. Until then, please be careful and protect those precious puppy bones. :)
The 3D’s
In dog training, we can make training exercises easier or more challenging by changing one or more of the 3D’s. Like humans, every dog is an individual and learns at a different pace so we need to ensure that we are providing them with the right amount of challenge to keep them interested and motivated to learn.
The 3D’s are:
Distance
Duration
Distraction
Distance – We can change how close or far away a behaviour happens to make it easier or more challenging.
Examples include:
If we are teaching a sit-stay, we can increase the distance between ourselves and the dog to make it more challenging
If we are teaching our dog to sit or lie down, we could ask for this behaviour from further away
Duration – We can change how long we ask our dog to do a behaviour for, before marking and rewarding that behaviour.
Examples include:
If we are teaching a hand touch/target touch, we could increase the duration we ask the dog to hold their nose on our hand
If we are teaching loose lead walking, we could increase the length of time before marking and rewarding a slack lead
Distraction – We can add lots of distractions to our dog’s training to increase the challenge, this is usually a distraction in the environment in which they are learning but it could be singing a song whilst they are in a sit-stay position, it's entirely up to you! ;)
Examples include:
If we are teaching a sit-stay, we could walk away from our dog and start doing something else, like talking to a person or making a cup of tea to challenge them to stay where they are
If we are teaching loose lead walking, we could walk in areas that are increasingly busy and distracting
The important thing to remember is that all dogs are different and learn at different paces so go at your dog’s own pace. If you are working on distance during a sit stay, then don’t expect to add extra duration and distraction at the same time. If you are increasing one of the 3D’s, lower the other 2 to begin with and build it up slowly.
Go on – be creative with your training and give it a go. Dogs thrive on learning and using their brains so it’s important to give them the opportunity to do so! :)
Have a great week everyone and happy training! :)
Cheryl x








Comments